联系我们
黑山羊养殖技术:18108430591
黑山羊种羊:18108430591
养羊技术0731-88269180
黑山羊价格邮箱:2479881173@qq.com
黑山羊价格QQ:2479881173
养羊技术微信:18108430591
地址:湖南省长沙市岳麓区莲花镇云盖村(地图搜索“湘美黑山羊”)
想做湘美羊这个项目,初始投资大约要多少钱
发布时间:2019/2/26 15:53 作者:湘美 点击率:3985
我是长沙人,现在北京,对养殖感兴趣,想做湘美黑山羊这个项目,但又没什么经验。在网上看到你们的网站,所以想了解一下。这方面你们能给一些建议或指导吗?再问一下,这个初始投资大约要多少钱呢?
湘美黑山羊办公室王主任回复如下:
一、选址与建羊舍,羊场设施,买羊引种,学习技术。这些都是必须的。
1、关于选址。
A.地势干燥、背风向阳,冬暖夏凉。
B.距离生活饮用水源地500米以上。
C.距离公路、铁路等主要交通干线500米以上。
D.水源供应充足,清洁无严重污染源,自来水、井水、山泉水均可。
E.交通便利、通迅方便,有一定的能源供应条件。
F.场内兽医室、病羊隔离室、贮粪池等应位于羊舍的下风方向。

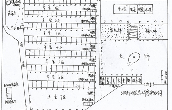
2、关于建羊舍。
这是湘美黑山羊各功能区布局平面图,供大家参考。

3、关于羊场设施。
A.消毒池与消毒设备。
B.无害化处理设施。
C.饲槽、草架。
D.多用途活动栏圈。
E.药浴设备。
F.青贮设备。
具体可以加湘美王主任的微信13975811185,了解详情。
4、关于学技术。
来长沙湘美基地现场学养殖技术,理论与实践相结合。主要是学打针、打疫苗、喂药、如何种植牧草、种植什么样的牧草好?饲养管理等。
二、初始投资大约要多少钱?
1、可以根据个人的资源情况,自行合理安排。
2、3-5万元可以起步。以引种一组羊(26头,其中,25头母羊,1头公羊)为例。
A.种羊款3万元(25只母羊,25×1080+1×3000=30000元)。
B.羊舍面积50平米,每平米造价约200元,50×200=10000,共1万元
C.牧草种植2亩。200元左右。

D.人工费。散养的话,一个人可以养100-200只羊,圈养的话,一个人可以养300-500只羊。
湖南湘美黑山羊位于湖南长沙市莲花镇云盖村贺家塘与新庵寺之间,拥有种羊基地羊舍98间,放牧面积万亩,牧草种植40亩。我们致力培育品种优秀的种羊,引种客户可以获得基地1对1的技术指导服务,21年专业育种培育经验让客户投资养羊事业降低风险。
相关文章
- [2024-04-21]·养羊草料没问题,才会安心
- [2024-04-21]·养羊拿地四点干货分享
- [2024-04-07]·福建老余从养猪转行养羊
- [2024-04-07]·返乡创业养羊,到底要多少预算
- [2024-04-07]·年轻人30岁选择躺平,老人家70岁却还想..
- [2024-04-07]·养羊场的活还真不是谁都能干的
- [2024-04-07]·300只羊养了三年,一只没卖还剩200只
- [2024-04-07]·2024年适合养羊吗
官方微博
设为首页
加为收藏








